https://aviationweek.com/themes/custom/particle/dist/app-drupal/assets/awn-logo.svg
Skip to main content
  • Market Sector
    • Aerospace
    • Air Transport
    • MRO
    • Defense
    • Space
    • Business Aviation
  • Markets
    • Aerospace
      • Aircraft & Propulsion
      • Connected Aerospace
      • Emerging Technologies
      • Manufacturing & Supply Chain
      • Advanced Air Mobility
      • Sustainability
    • Air Transport
      • Aircraft & Propulsion
      • Interiors & Connectivity
      • Airports & Networks
      • Airlines & Lessors
      • Safety, Ops & Regulation
      • Maintenance & Training
      • Sustainability
    • MRO
      • Aircraft & Propulsion
      • Interiors & Connectivity
      • Emerging Technologies
      • Supply Chain
      • Safety, Ops & Regulation
      • Workforce & Training
      • Sustainability
    • Defense
      • Aircraft & Propulsion
      • Sensors & Electronic Warfare
      • Missile Defense & Weapons
      • Supply Chain
      • Budget, Policy & Operations
      • Sustainability
    • Space
      • Launch Vehicles & Propulsion
      • Commercial Space
      • Space Exploration
      • Satellites
      • Budget, Policy & Regulation
      • Operations & Safety
    • Business Aviation
      • Aircraft & Propulsion
      • Interiors & Connectivity
      • Airports, FBOs & Suppliers
      • Flight Deck
      • Safety, Ops & Regulation
      • Maintenance & Training
      • Sustainability
    • In Focus
      • Middle East & Africa
  • Marketplace
  • Services
    • Services
      • Advertising
      • Marketing Services
      • Fleet, Data & APIs
      • Research & Consulting
      • Network and Route Planning
      • Marketplace
  • Store
    • Market Sector

      • Aerospace
      • Air Transport
      • MRO
      • Defense
      • Space
      • Business Aviation
    • Type View All Products
      • Intelligence Bundles
        • AWIN - Premium
        • AWIN - Aerospace and Defense
        • AWIN - Business Aviation
        • AWIN - Commercial Aviation
      • Market Briefings
        • Advanced Air Mobility Report
        • Aerospace Daily & Defense Report
        • Aviation Daily
        • SpeedNews
        • The Weekly of Business Aviation
      • Directories
        • Air Charter Guide
        • Aviation Week Marketplace
        • Route Exchange
        • The Engine Yearbook
      • Data Services
        • AC-U-KWIK
        • Aircraft Bluebook
        • Airportdata.com
        • ASM Global Route Development
        • CAPA – Centre for Aviation
        • Catchment Analyzer
        • Defense Market Analyzer
        • Fleet Discovery Civil
        • Fleet Discovery Military
        • Fleet & MRO Forecast
        • MRO Prospector
        • Tracked Aircraft Utilization
      • Publications
        • African Aerospace
        • Air Transport World
        • Arabian Aerospace
        • Aviation Week & Space Technology
        • Aviation Week & Space Technology - Inside MRO
        • Business & Commercial Aviation
        • CAPA - Airline Leader
        • Routes magazine
        • Show Business
  • Events
    • Recent webinars
    • Events View All Events
      • MRO
        • MRO Americas
        • MRO Asia
        • MRO Australasia
        • MRO Baltics & Eastern Europe Region
        • MRO Europe
        • MRO Greater China
        • MRO Latin America
        • MRO Middle East
        • MRO Southeast Asia
        • Military Aviation Logistics and Maintenance Symposium (MALMS)
      • Commercial Aviation/A&D
        • Aero-Engines Americas
        • Aero-Engines Europe
        • Aero-Engines Asia-Pacific
        • Engine Leasing Trading & Finance Europe
        • Engine Leasing, Trading & Finance Americas
      • Air Transport
        • Routes Americas
        • Routes Europe
        • Routes World
        • CAPA Airline Leader Summit - Airlines in Transition
        • CAPA Airline Leader Summit - Americas
        • CAPA Airline Leader Summit - Latin America & Caribbean
        • CAPA Airline Leader Summit - Australia Pacific
        • CAPA Airline Leader Summit - Asia & Sustainability Awards
        • CAPA Airline Leader Summit - World & Awards for Excellence
        • GAD Americas
        • GAD World
      • Aerospace and Defense
        • Defense Conference
      • Awards
        • Aviation Week 20 Twenties
        • Aviation Week Laureate Awards
        • ATW Airline Awards
        • Program Excellence Awards and Banquet
        • CAPA Asia Aviation Summit & Awards for Excellence
        • Space Tech Challenge Awards
  • About
    • About Aviation Week Network
      • Our Story
      • Content and Data Team
      • Aviation Week & Space Technology 100-Year
    • Contact Us
      • Subscriber Services
      • Advertising, Marketing Services & List Rentals
      • Content Sales
      • Events
      • PR & Communications
      • Content Licensing and Reprints
      • FAQ
  • Log In
  • Register
  • My Account
    • Profile
    • Sign Out
  • AWIN Access
  • My cart
    Back to
  1. Space

Share

Satellites, Storms And Damage Left Behind

Jen DiMascio September 13, 2017

Irma, Jose and Katia

Credit: NASA Earth Observatory images by Joshua Stevens and Jesse Allen

Earlier this year, the U.S. National Weather Service predicted that five to nine storms could become hurricanes, and that two to four of those would be severe. Already, we have seen at least four hurricanes in the span of weeks—with three of them active at the same time. Two, Harvey and Irma, were devastating upon landfall. 

Here, the Suomi National Polar-orbiting Partnership satellite captures the Category 4 Hurricane Irma heading for the Florida coast, the smaller Cat. 2 Katia bound for Mexico and a Cat. 4 storm, Jose, swirling toward the Caribbean. The image used Visible Infrared Imaging Radiometer Suite day-night band data. It also incorporated some of the data from the Terra satellite’s Moderate Resolution Imaging Spectroradiometer from the Land Atmosphere Near real-time Capability for the Earth Observing System (EOS).

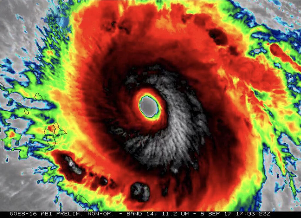
Hurricane Irma

Credit: NASA SPoRT

This infrared image taken by the National Oceanic and Atmospheric Administration’s (NOAA) Geostationary Operational Environmental Satellite-16 on Sept. 5 shows Irma before it hit the Leeward Islands and shows a gravity wave pattern spiraling outward. GOES-16, made by Lockheed Martin, is designed to orbit for 15 years, collect and transmit up to 100 Mbps instrument payload data continuously and provide ongoing services including search and rescue, data system collection and the Emergency Managers Weather Information Network. GOES-16 carries three types of instruments—nadir-pointing, solar pointing and in situ. The next satellite in the constellation, GOES-S, is scheduled for launch in spring 2018.

Hurricane Jose

Credit: NASA Goddard MODIS Rapid Response Team

By Sept. 12, Hurricane Jose, once a Cat. 4 storm, was weakening, its winds slowed by vertical wind shear. NASA’s Aqua satellite captured this visible light image on Sept. 11. The satellite, launched in 2002, is part of the EOS, and uses six instruments to gather information about the Earth’s water cycle. Made by TRW (now Northrop Grumman), the spacecraft had a life span of six years, but continues to operate four of its instruments and gathers some reduced-quality data from a fifth.

 

Hurricane Katia

Credit: NASA / NOAA GOES Project

Katia was making landfall in Mexico Sept. 8, as Irma was lashing Cuba. But Katia’s winds were a far-slower 75 mph. The storm was dissipating on Sept. 9, indicated on this image created using visible light data from NOAA’s GOES-East satellite imagery. 

Hurricane Harvey

Credit: ESA / CC BY-SA 3.0 IGO

The European Space Agency’s Copernicus Sentinel-3A satellite shows Hurricane Harvey in the Gulf of Mexico near Texas on Aug. 25, using its Sea and Land Surface Temperature Radiometer to measure the energy radiating from the Earth’s surface in nine spectral bands. The image reflects the dramatic range in the brightness temperature of the storm—from 20C (68F) at the edge to −80C in its eye.

Key West, Florida

Credit: DigitalGlobe

DigitalGlobe satellites show the damage inflicted by Hurricane Irma on the coast of Key West. On Jan. 13, its WorldView-3 satellite shows a small strip of beach along the coast (left). The Sept. 11 image taken by the GeoEye-1 spacecraft shows the beach overtaking the road.

Anse Marcel, St. Martin

Credit: ​DigitalGlobe

This luxury resort is known as an otherworldly place of respite and rejuvenation. But this WorldView-2 image (rigth) shows how Irma chewed through its facilities and picturesque marina.

Buffalo Bayou

Credit: Planet

Planet, which is also sharing its imagery with humanitarian relief organizations, compiled a false color composite (bottom) showing Houston’s Buffalo Bayou flooding in the aftermath of Hurricane Harvey on Aug. 31.

Previous
Next

Government and commercial satellites are helping to spot and track the paths and aftermaths of the multiple hurricanes that have hit the Gulf of Mexico and the Atlantic Ocean in recent weeks. Here is a look at the storms and some of the devastation they caused.

Jen DiMascio

Based in Washington, Jen previously managed Aviation Week’s worldwide defense, space and security coverage.

Follow us on

Markets

  • Aerospace
  • Air Transport
  • MRO
  • Defense
  • Space
  • Business Aviation

Products

  • AWIN Intelligence Bundles
  • Market Briefings
  • Publications
  • Data Services
  • Directories
  • Resources

Contact Us

  • Subscriber Services
  • Advertising, Marketing Services & List Rentals
  • Content Sales
  • Events
  • PR & Communications
  • Content Licensing and Reprints
  • FAQ

Other Resources

  • Aviation Week Marketplace
  • Knowledge Center
  • Newsletters
  • ShowNews
  • Advertising - Media Kits
  • Japanese 日本語
  • Korean 한국인
Copyright © 2026. All rights reserved. Informa Markets, a trading division of Informa PLC.
  • Accessibility
  • Privacy Policy
  • Cookie Policy
  • Terms of Use