GBAS Making Measured Progress As ILS Replacement
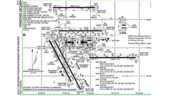
The satellite-based precision landing system serving the entire George Bush Intercontinental Airport, near Houston, is located, literally, in the middle of nowhere. That is one of the virtues of a ground-based augmentation system (GBAS)—the hardware and software that transmits landing paths and in...
Subscription Required
This content requires a subscription to one of the Aviation Week Intelligence Network (AWIN) bundles.
Schedule a demo today to find out how you can access this content and similar content related to your area of the global aviation industry.
Already an AWIN subscriber? Login
Did you know? Aviation Week has won top honors multiple times in the Jesse H. Neal National Business Journalism Awards, the business-to-business media equivalent of the Pulitzer Prizes.

